Skip to main content Skip to footer

Market Infrastructure Project

CURRENT BUILDING PROPOSAL: ROLL DOWN SIDE PANELS

Click the above link for more details. 

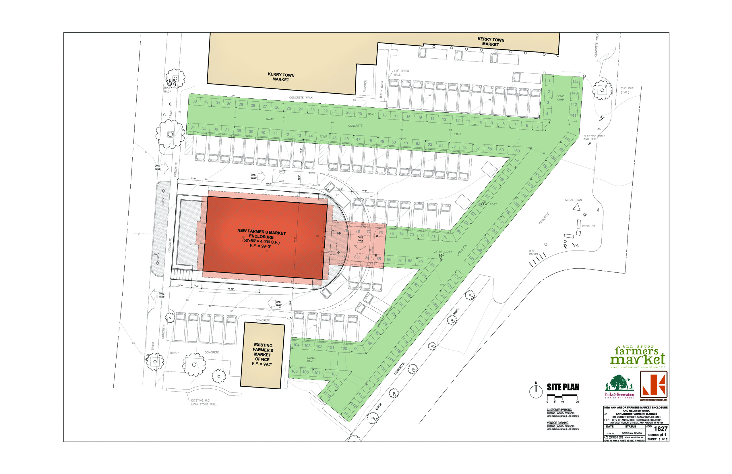
Proposed infrastructure improvements for the Ann Arbor Farmers Market focus on a new market structure to expand vendor stall capacity year-round. The project is intended to improve the experience for all users as the market evolves, continues to provide a critical outlet for local food and serves as a central community gathering space throughout the year. The market project first identified ​in the City's Capital Improvement Plan highlighted the need to improve winter capacity at the Farmers Market. This project is intended to realize improved stall space for the market's vendors in all seasons. The project reflects the priorities of the Public Market Advisory Commission, which has advocated for the expansion and improvement of market infrastructure for winter purposes. Parks & Recreation Services is committed to improving this park space within the downtown area of the City of Ann Arbor. ​Feedback and questions can be sent directly to the Public Market Advisory Commission, pmac@a2gov.org. All emails regarding the project will filed as part of the public record for this project.

Project Status

The Market Infrastructure Improvement Project site plan was approved by City Council in August, 2016 and the construction contract was put out for bid in September. Bids received significantly exceeded the cost estimate. A total project budget had been identified as $875,000.00, comprised of various funding sources. The low bid for the construction portion of the project came in at almost $1,200,000.00. Staff met with the low bidder to explore opportunities for lowering the contract amount while retaining the integrity of the project and lowered the cost to $1,157,637.00. While some progress was made, the total project budget for construction, design, contingency, and construction oversight resulted in a total project budget of approximately $1,375,000.00, equating to a shortfall of approximately $500,000.00 in funding.

 

Staff rebid the project in April, incorporating changes that had been identified as cost reductions after the first bid.  Unfortunately the low bid for construction came in at just under $1,250,000.00. Factoring in design, contingency, and construction oversight the total project budget necessary is approximately $1,500,000.00, or approximately $625,000.00 higher than the original project budget. Staff worked to identify additional funds. The Downtown Development Authority committed another $200,000.00 to fund parking related aspects of the project, the Public Market Advisory Commission supported the use of an additional $100,000.00 from available designated funds, and developer contributions for the Market were identified. Despite this the project budget remains underfunded by $137,667.00, not counting developer contributions in the amount of $119.875.00 that are identified but not yet received.

 

When faced with this budget shortfall and considering other infrastructure repairs the existing Market structure may require in the coming years staff consider it prudent to not move ahead with construction of the new building at this time. We continue to seek sources of funding and remain committed to seeing the project completed.

 

Staff are evaluating work that can still be performed for the existing infrastructure that were identified on the site plan such as parking lot replacement including stormwater improvements using pervious pavers, ADA restroom upgrades, and 4th Avenue streetscape enhancements including benches, and landscaping with an eye to executing these improvements in such a way that if additional funding is secured the all-season structure can be built, understanding the project’s site plan is approved for a three-year period.  

Upcoming Public  Meetings

Project information is shared at the regular meetings  of the Public Market Advisory Commission. Meetings will be held in City Council Chambers on the Second Floor of City Hall, 301 E. Huron Street, Ann Arbor, MI . All are welcome.​

​Resolutions

Public Market Advisory Commission, May 2015 - Use of Assigned Fund Balance of the General Fund for the Purpose of the Farmers Market Infrastructure Improvement Project

Public Market Advisory Commission, April 2016 - Support for Market Infrastructure Project Advancing to Design Review, Planning Commission, and City Council

Parks Advisory Commission, June 2016 - Support for the Farmers Market Infrastructure Improvement Project

City Planning Commission, July 2016 - Farmers Market Enclosure Site Plan and Landscape Modification Recommended for City Council Approval

City Council, August 2016 - Farmers Market Enclosure Site Plan Approved

The above elevation drawings reflect input from vendor and community operations committee members, the Public Market Advisory Commission, staff, the architect and engineers.  Current estimates based upon vendor input provide for 36 stalls inside the new structure, providing 16 new stalls to the overall capacity of the market and 36 full-enclosed stalls for winter use.

Vendor & Community Operations Advisory Committees

The City of Ann Arbor Public Market Advisory Commission appointed members to two advisory committees to assess operational components of the Market Infrastructure Improvement project.  

Market Infrastructure VOAC Charter     Market Infrastructure COAC Charter 

Vendor and Community Operations Advisory Committee recommendations: 

VOAC Recommendations       COAC Recommendations

Architectural Designs​

Initial design concepts were presented at the July 23, 2015 Public Mark​et Advisory Commission Meeting. Follow the link to view the video recording of the meeting and design presentation: Market Infrastructure Project Design Presentation - July 23, 2015 PMAC Meeting .

A single revised design concept was presented at the September 17, 2015 Public Market Advisory Commission Meeting. Follow the link to view the video recording of the meeting and design presentation: Market Infrastructure Project Revised Design Presentation - September 17, 2015 PMAC Meeting.

Market Infrastructure Process Document

This website uses cookies to enhance usability and provide you with a more personal experience. By using this website, you agree to our use of cookies as explained in our Privacy Policy.